Na javnom uvidu: Ugrinovačka ulica u Zemunu dobija još jedan stambenjak
Zemunsko preduzeće Storms investitor je i projektant četvorospratnice sa 21 stanom i ukupno 29 parking mesta.
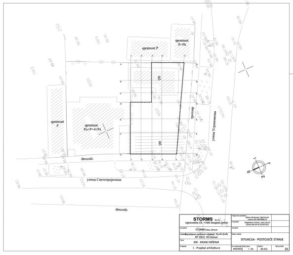
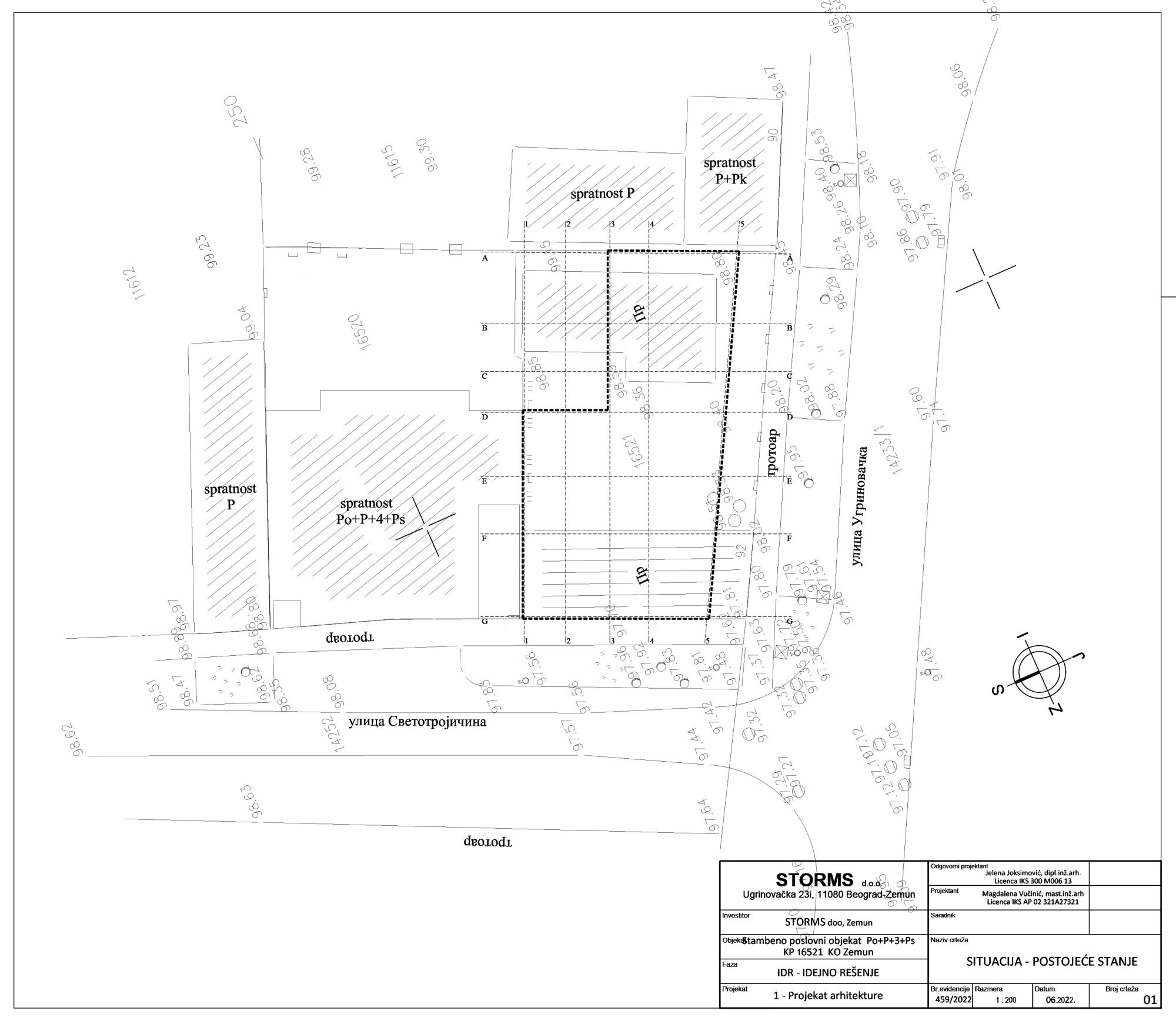
Dve nedelje nakon što je na adresi Ugrinovačkoj u Zemunu najavljena izgradnja stambeno-poslovne petospratnice, na javnom uvidu našao se i urbanistički projekat za izgradnju još jednog objekta istovetne namene, ovog puta nešto niže spratnosti i na broju 92.
Nosilac izrade predmetnog urbanističkog projekta je „Symbol00” iz Beograda, investitor i ujedno autor idejnog rešenja arhitekture je preduzeće „Storms” iz Zemuna, dok je kao odgovorni projektant potpisana Jelena Joksimović, dia.
Pročitajte još na Gradnja.rs:
- Novo lice Šilerove: U Zemunu planirana stambena zgrada u opeci
- Dron snimio Zmaja: Kompleks od 31.000 kvadrata u Zemunu dobio konačne obrise

Direktan izlaz na Svetotrojičinu i Ugrinovačku
Površina građevinske parcele na kojoj je predviđen novoprojektovani objekat iznosi 589 kvadratnih metara, a parcela ima direktan izlaz na dve javne saobraćajnice – Svetotrojičinu i Ugrinovačku.
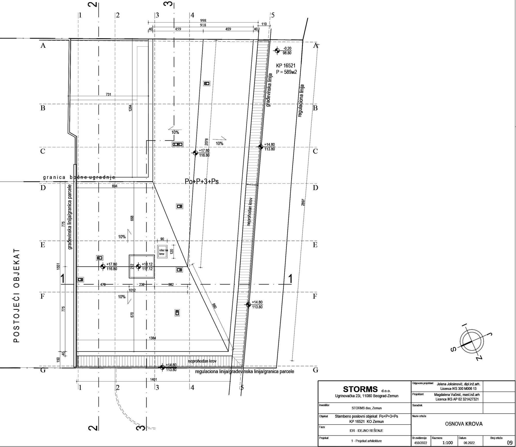
Kako je navedeno u projektu, na parceli se predviđa izgradnja stambeno-poslovnog objekta spratnosti Po+Pr+3+Pk, koji bi sastojao od podruma, prizemlja sa galerijom, tri tipska i povučenog sprata.

Materijalizacija fasada će biti istovetna tako da se vizuelno stekne utisak da je u pitanju jedan objekat.
Planirani objekat je ugaonog tipa. Lociran na uglu Svetotrojčine i Ugrinovačke ulice. U Svetotrojčinoj ulici objekat se naslanja na već izgrađeni objekat.
Novi objekat će se graditi u nastavku objekta koji je sazidan na susednoj parceli tako da zajedno čine jednu celinu. Usvojene su visinske kote spratnih ploča, venca i slemena.
Takođe će materijalizacija fasada biti istovetna tako da se vizuelno stekne utisak da je u pitanju jedan objekat.

Projektovano 29 parking mesta
U podrumskoj etaži nalaze se dve garaže sa ukupno 26 garažnih mesta, dodatnom natkrivenom parking platformom sa dva parking mesta i jednim natkrivenim parking mestom za osobe sa posebnim potrebama – ukupno 29 parking mesta.
U podrumu su predviđene i tehničke prostorije (hidrocil i prostorija za vodomer), te prostor za ostave, dok su na prizemlju projektovani jedna radno-stambena jedinica – atelje i dva lokala sa galerijama.

U stambenom delu objekta je predviđena je ukupno 21 stambena jedinica.
Prva, druga i treća etaža su tipski spratovi i imaju po šest stambenih jedinica različitih struktura. Na povučenom spratu su predviđene tri stambene jedinice.
U stambenom delu objekta je predviđena je ukupno 21 stambena jedinica. BRGP nadzemnih etaža objekta iznosi 1.931.20 m², a ukupna bruto površina objekta iznosi 2.329 metara kvadratnih.
Primedbe i sugestije do 26. aprila
Zainteresovani mogu tokom javne prezentacije da izvrše uvid u Urbanistički projekat, kao i da svoje primedbe i sugestije dostave Sekretarijatu za urbanizam i građevinske poslove najkasnije do 26. aprila 2023. godine.







